Toe aan een volgende stap in jouw woonavontuur? Kom dan langs tijdens de Open Huizen Dag op zaterdag 28 maart!
Tussen 11.00 en 15.00 uur kun je deze woning vrijblijvend bezichtigen.
Loop rustig rond, proef de sfeer en ontdek of dit jouw nieuwe thuis kan zijn.
Je bent van harte welkom – aanmelden is niet nodig!
Twee-onder-een-kapwoning met garage, energielabel B, rolluiken, vier slaapkamers en een zonnige tuin op het Zuidwesten.
In Vogelwaarde vind je voorzieningen op loop- of fietsafstand. Denk aan een supermarkt, basisschool, sportverenigingen en een actieve dorpsgemeenschap die regelmatig leuke evenementen organiseert.
Door de ligging nabij grotere plaatsen zoals Hulst en Terneuzen heb je daarnaast alle extra voorzieningen binnen enkele autominuten bereikbaar, terwijl je toch kunt genieten van de gemoedelijke sfeer van het dorp.
Begane grond
Bij aankomst in deze rustige straat valt meteen op hoe fijn je hier kunt wonen.
Je parkeert eenvoudig twee auto's op je eigen oprit. Via de entree kom je binnen in de hal, waar je toegang hebt tot het toilet, de trapopgang naar de eerste verdieping, de meterkast en de doorgang naar de woonkamer.
De doorzonwoonkamer is voorzien van een fraaie tegelvloer met houtlook.
Dit geeft de ruimte een warme, gezellige uitstraling en is bovendien praktisch in onderhoud. De dichte keuken bereik je via de woonkamer.
Deze is uitgerust met veel opbergruimte en diverse inbouwapparatuur.
Dankzij het zijraam valt er extra daglicht binnen, wat de keuken een prettige en lichte plek maakt. Aansluitend vind je de ruime bijkeuken, waar je de aansluitingen voor je witgoed hebt en waar de cv-ketel is opgesteld.
Van hieruit stap je zo de achtertuin in en heb je direct toegang tot de garage, die is voorzien van een elektrische deur.
1e verdieping
Op de eerste verdieping bevinden zich drie slaapkamers en de badkamer. De badkamer is uitgerust met een douche, wastafel en een hangtoilet. Eén van de slaapkamers beschikt bovendien over een eigen wastafel.
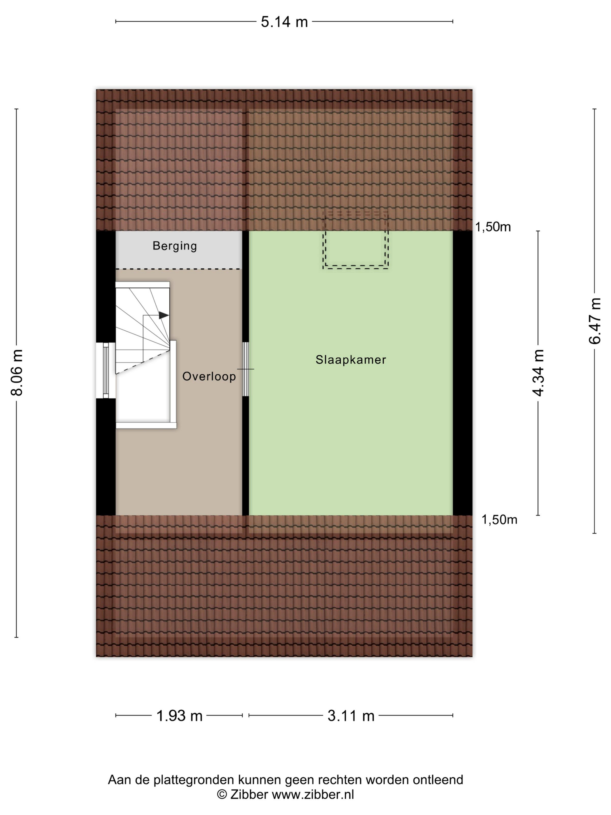
2e verdieping
De tweede verdieping is bereikbaar via een vaste trap.
Hier vind je een overloop en de vierde slaapkamer, die dankzij het dakraam lekker licht is.
Tuin
Dan de achtertuin: gelegen op het zonnige zuiden en een heerlijke combinatie van groen en terras. Je kunt hier zowel ontspannen in de zon als genieten van een gezellige barbecue. In het houten tuinhuis berg je eenvoudig al je tuinspullen op.
Via een deur heb je hier ook rechtstreeks toegang tot de garage aan de zijkant. Het dak van de garage, keuken, en bijkeuken is enkele jaren geleden vernieuwd met EPDM.
Bijzonderheden
- Energielabel B
- Ruime tuin gelegen op het Zuidwesten
- Hardhout kozijnen (tropisch materiaal)
- Cv ketel 2020
- Rolluiken
- Keramisch parket gelegen op de begane grond
Kortom: een fijne, complete gezinswoning met veel ruimte, een zonnige tuin en een rustige ligging in het vriendelijke Vogelwaarde.
| B |
Wilt u een notitie aanmaken bij dit object of wilt u deze volgen, maak dan gratis een (zoek) profiel aan om van deze en meer extra's te profiteren!
Reageer direct Delen op Facebook Download brochureWellicht ook interessant
Kadaster
Bezichtigen








